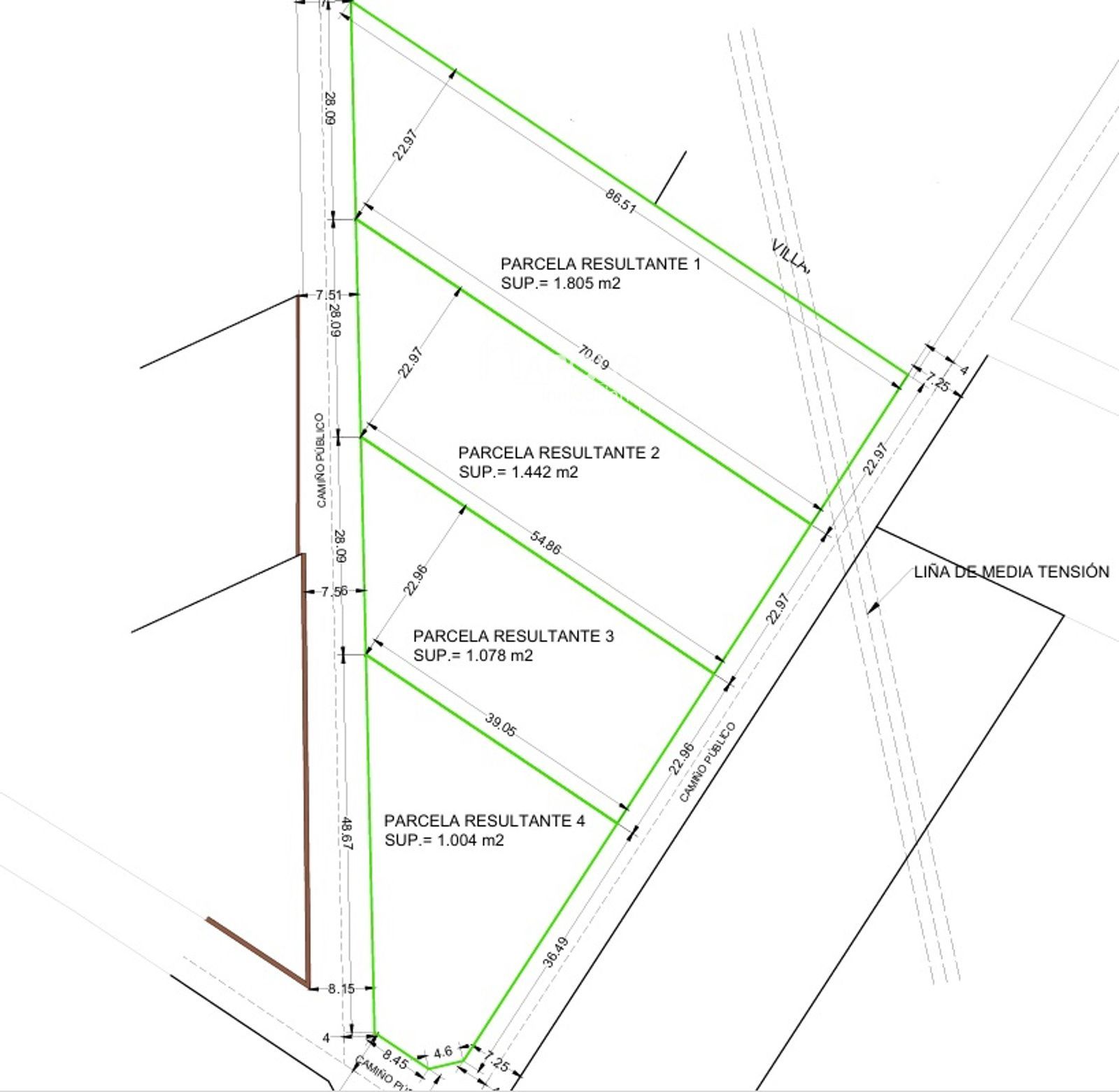
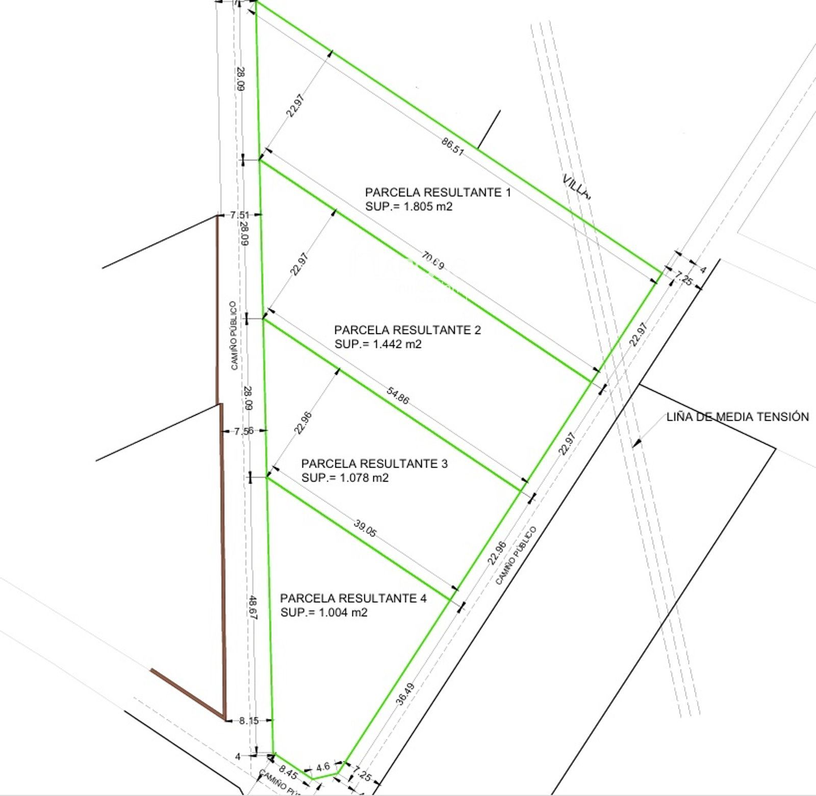
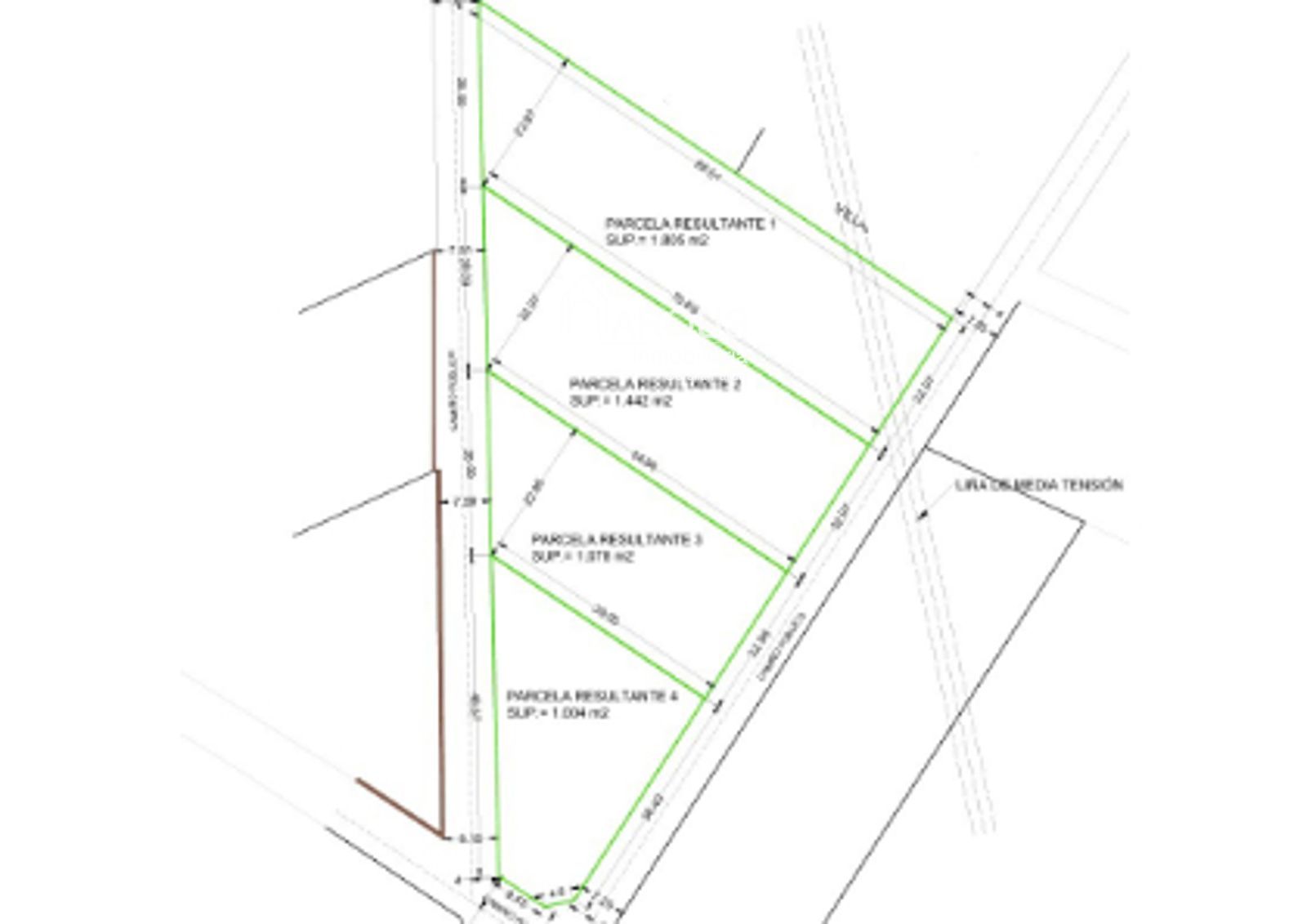
Si buscas el equilibrio perfecto entre presupuesto y ubicación, esta parcela urbana en la Aldea Aguiar (Brión) es una de las mejores oportunidades actuales en el área metropolitana de Santiago. Con una superficie total de 1.078 metros cuadrados, este terreno ofrece el espacio ideal para proyectar una vivienda unifamiliar independiente con jardín, sin los costes de mantenimiento de fincas de mayor tamaño, pero manteniendo total privacidad.
El solar se encuentra en una zona de núcleo rural privilegiada, a tan solo 1,5 kilómetros de los servicios de Brión y a escasos 15 minutos de Santiago de Compostela. Su precio de 40.000 € la sitúa como una opción altamente competitiva para quienes quieren dejar de pagar alquiler y construir su propio hogar a medida. La parcela es soleada y cuenta con una orografía que facilita la construcción, permitiendo una edificación de hasta dos plantas bajo la normativa urbanística local.
Además, la finca ya dispone de todos los suministros básicos necesarios a pie de parcela (acometida de agua, luz y conexión al alcantarillado público), lo que supone un ahorro importante en la preparación del terreno. La Aldea Aguiar es conocida por ser un entorno residencial tranquilo, seguro y con vecinos que buscan la misma calidad de vida. Esta parcela representa una inversión inteligente en una zona que no deja de revalorizarse gracias a su excelente comunicación con la autovía y su proximidad a la capital gallega. Es, en definitiva, el terreno ideal para convertir el sueño de una casa con jardín en una realidad económica y viable.
El precio de venta no incluye impuestos ni gastos de notaría y registro. Estos importes dependen de la naturaleza de la operación, de la comunidad autónoma y de las circunstancias personales y patrimoniales del comprador; por ello no pueden fijarse de forma exacta en el presente anuncio. Solicite una estimación personalizada. Más información en: https://www.atriga.gal/es_ES/preguntas-frecuentes/imposto-sobre-transmisions-patrimoniais-e-actos-xuridicos-documentados