Ficha
Terreno en venta en Aldea Aguiar s/n, Brion
Brion - REF. 1049
venta: 65.000 €
Descripción

Se vende magnífica parcela urbana situada en el núcleo rural de Aldea Aguiar, un entorno privilegiado que combina la tranquilidad del campo con la cercanía a los servicios esenciales, ubicándose a tan solo 1.400 metros del centro de Brión y a 12 kilómetros de Santiago de Compostela.

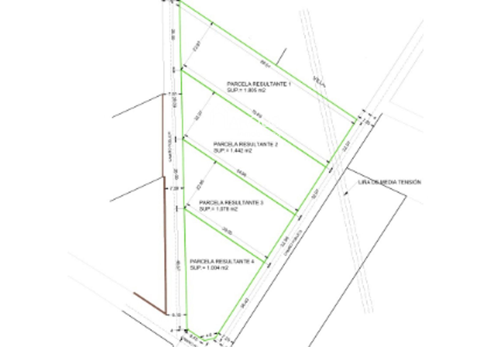
El terreno dispone de una superficie neta de 1.805 m², con la cesión obligatoria al concello ya realizada, lo que facilita los trámites para la futura construcción. Bajo la tipología de "Expansión de Núcleo Rural", la finca ofrece una edificabilidad máxima de 300 m² (ocupación del 40%), permitiendo el desarrollo de una amplia vivienda unifamiliar de hasta dos plantas.

Una de las grandes ventajas de este solar es su infraestructura: cuenta con dos frentes de 28 y 23 metros respectivamente, y dispone de todos los servicios básicos a pie de parcela, incluyendo acometidas de agua, alcantarillado, luz y conexión por fibra óptica.

Gracias a su orientación y a su ligera pendiente, la parcela es extremadamente soleada durante todo el día y ofrece vistas despejadas, convirtiéndola en el lienzo perfecto para un proyecto residencial que busque confort, espacio y una ubicación estratégica en una zona de alta demanda.



El precio de venta no incluye impuestos ni gastos de notaría y registro. Estos importes dependen de la naturaleza de la operación, de la comunidad autónoma y de las circunstancias personales y patrimoniales del comprador; por ello no pueden fijarse de forma exacta en el presente anuncio. Solicite una estimación personalizada. Más información en: https://www.atriga.gal/es_ES/preguntas-frecuentes/imposto-sobre-transmisions-patrimoniais-e-actos-xuridicos-documentados

Características
Precio Venta 65.000 €
Precio/m² 36 €/m²
Año de construcción 1049
Parcela 1.805 m2
Luz
Agua
Escalas de eficiencia



Contacta con tu asesor
Coralia Pardal
Contáctanos

Si deseas más información sobre esta propiedad, por favor, rellena el formulario.

 Sí, he leído y/o acepto las Condiciones de uso y la Política de privacidad
Inmuebles similares:
 
65.000 €
Ref. 1009

Terreno en venta en Lugar Mouromorto 13, Teo. Terreno de 2000 metros con posibilidad de parcelación en tres. Terreno en pendiente con buenas vistas. Frente de 36 metros y parte trasera de 55. Máxima edificabilidad del 40% y máxima ocupación del 50%. A 7 km de Santiago.


 
73.000 €
Ref. 1016  
Parcela en venta en Ames y con 930 m2.